联发时光新澍 (售楼处) 官网-联发时光新澍销售中心 - 环境 - 户型 - 价格 - 地址 - 楼盘详情 - 配套 - 电话 - 交房时间 - 配套 - 电话 - 交房时间
扫描到手机,新闻随时看
扫一扫,用手机看文章
更加方便分享给朋友
具体认购信息如下:
● 认购时间:2025年12月18日-2025年12月22日
● 认购金:20万元
● 开盘时间:12月28日
一房一价👇
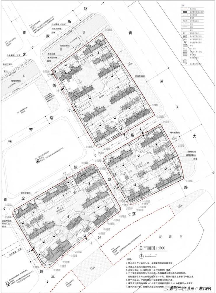
7月24日,第六批次土拍首日,联发以总价219480万元竞得青浦区QPC10004、QPC10005单元47-04、49-01、50-01地块。
项目共规划30幢住宅,其中47-04地块建设8幢14-17层高层住宅,49-01地块建设7幢13-14F高层和1幢5F多层,50-01地块规划建设4幢14-17层高层和1幢6F多层。三个住宅地块均做了局部首层架空,49-01 地块配置了一个 300㎡的生境花园。
在社区打造上,项目不吝成本投入,每一处生活细节都经过千百次验证与打磨,只为让尖端科技与人文关怀无缝交融,成就一个真正经得起时代审视的标杆作品!

① 社区蓝图:从“物理园区”到“有机生命体”
联发·时光新澍以 “无界松弛主义”为规划灵魂,彻底打破了传统社区“围墙之内是家园,围墙之外是城市”的割裂感!

项目通过 “三圈无界”设计理念,将城市资源、社区配套与家园空间无缝串联!
更为硬核的是,项目植入了 “友趣立方”系统——多个功能各异的主题空间如办公盒子、学习盒子等,像乐高模块般精准嵌入社区动线
这并非简单的设施配套,它们与持续运营的 iLife社群相辅相成,让兴趣成为邻里关系的粘合剂,使社区永远保持新鲜感与生长性!
② 建筑风范:以“永恒美学”回应时代精神
在外立面材质上,项目严选天然石材与金属型材,通过原生肌理的呈现与酒店级的细节处理,于不张扬中淬炼出历久弥新的高级感

这种审美,精准契合了新青年“反装饰、重体验”的底色,它不会在三年五年后显得过时,而是如同经典设计一般,随着时间流逝愈发彰显其价值
③ 景观叙事:一场沉浸式的“心灵治愈旅程”
联发·时光新澍以 “全场景松弛系统”为核心,将景观划分为 静音治愈 、 亲宠陪伴 、 自在休憩 、 街角松弛等四大功能场域
从归家伊始的流光林荫道,到社区核心的阳光聚场与无界客厅,再到充满探索趣味的植物迷宫与水线游戏儿童乐园,每一处场景都承载着特定的情绪价值
尤为难得的是 六维静音工程,在社区内部营造出一个“静若无界”的私域场域,让归家成为一次真正的精神减压
而烟火归家系统则通过活力大堂、坡道追光车库、地下光厅等充满仪式感的空间转换,将冰冷的“赶路”升维为温暖的“归心仪式”
④ 无感智慧服务:编织一张懂你的“隐形守护网”
一个面向未来的社区,其智慧不应是炫技的摆设,而应像空气一样无处不在,又几乎感觉不到它的存在
联发·时光新澍的 “New Life OS智慧社区系统”,正是在社区公共空间里编织了这样一张 “隐形的守护网”,实现安全与便捷的完美统一
· 无感通行,归家动线的极致优雅:
业主从进入社区大门的那一刻起,便开启了一场“解放双手”的归家仪式, AI人脸识别系统在业主步入单元门感应区时,已无感完成身份验证,单元门自动开启
与此同时,系统已向电梯下发指令,让电梯提前在一层静候,并自动点亮业主家所在的楼层
从社区到入户, 全程零接触、零等待,即便双手提满重物,也能从容归家
· 无忧访客,有温度的友好体验:
对于访客,项目彻底告别了繁琐的登记与等待,业主通过手机APP一键生成 虚拟通行码,即可发送给亲友或外卖、快递骑手

访客凭码即可进入社区,系统还会自动推送 最佳行进路线至其手机,引导其顺畅抵达,这不仅极大提升了访客的便捷度,更在开放与安全之间找到了精妙的平衡
· 全天候守护,给家人的安心承诺:
智慧系统更扮演着“隐形保安”的角色,通过 “天使之眼”系统,家长在授权后,可通过APP实时查看孩子在儿童乐园活动区的动态,让守护没有距离
AI周界防护能24小时自动识别异常入侵行为; 高空抛物监测系统则时刻守护“头顶的安全”,精准追踪抛物轨迹,自动记录取证

示意图
所有这些守护,都在静默中运行,不打扰生活,却给予生活最坚实的安全基底!
不难看出,联发·时光新澍所践行的,是一套完整的 “轻享主义”生活哲学
它通过社区的无界松弛主义、建筑的线条美学与材质美学,以及景观的全场景松弛系统,共同构筑起其坚实的价值护城河
这意味它提供给业主的,不只是一套居所,更是一种 可长期持有、能持续增值的“未来生活资产”——一种足以引领未来10年的,从容、自在且充满生命力的新一代生活方式!
在青年居住的命题上,联发·时光新澍进行了一场新潮而深刻的“效率革命”
它跳脱出华而不实的装饰竞赛,回归居住的本质,以 “空间精算系统”为核心理念,将每一寸空间、每一份预算、每一次日常动线都进行衡量,最终凝练成一套足以定义行业新标准的室内产品力
① 空间精算系统:让家成为一个能“持续进化”的有机体
传统的户型设计,常常将业主固化在预设的生活模板中,联发·时光新澍的创新,始于革命性的 “空间精算系统”
·「承重墙归边」与「超大实得面积」
联发·时光新澍将全系户型的主要承重墙体归置于边界,最大限度地释放了室内的灵动空间,由此诞生的 “双可变空间”
我们以135m²4+1房户型为例:

客厅与次卧、主卧与次卧之间不再有僵硬的剪力墙阻隔
这意味着,家的格局不再是开发商给定的“标准答案”,而是可以根据独居、二人世界、三代同堂等不同人生阶段自由定义的“开放题”!

再加上,一梯一户/两梯两户设计,更是让业主拥有了一个类独立电梯厅,可以作为家的延伸空间
最重要的是价格,据爆料项目定价相当炸裂,同等总价,无论是对标周边新房还是二手次新,都是碾压级的质价比!
就以项目主力户型建面约135m²户型和建面约116m²户型为例:
在近乎相同的预算情况下,你能买到的户型和室内空间,可以说是天壤之别!
· 一步到位的进阶改善不二之选!
从目前的价格爆料来看,建面约135m²户型的预估总价与周边二手次新107-108m²的挂牌价相近,但实际居住感受和空间,截然不同!
· 刚需上车也有奢阔居住空间!
而建面约116m²户型的预估总价与周边二手次新99m²房源挂牌总价相近,但室内空间完全不是一个量级!
所以,你就理解了,为什么整个青浦、大虹桥的刚需、改善购房者都在等联发·时光新澍,这样的户型设计、室内空间和极致质价比,放眼整个青浦新房市场,没有对手!
而这还只是项目产品力的冰山一角!
② 超配装标:每一处细节,都是对生活痛点的精准打击
联发·时光新澍的装标,并非品牌的简单堆砌,而是基于深度用户洞察的 超配集成
· 效率厨房:「动线钻研师」与「效率中心」
联发通过深度的用户操作试验,形成了 “取-洗-切-烹-盛”黄金动线,单程距离控制在2米以内,大幅降低劳动强度

建面约116m²样板房实拍 仅供参考
同时,集成 方太净洗中心与嵌隐升降烟机,将清洗与净烟效率最大化,真正让下厨从家务负担转变为轻松享受
常规厨房平台无法利用的空间死角,在这里也被合理使用,节省出1-2㎡的收纳空间,实打实的获得了房价价值
· 悦己卫浴:「一站立式美妆」与「感官SPA」
卫浴空间围绕都市青年的“晨间效率”需求展开
一站式梳妆收纳解决方案,通过镜柜内置分区、卫浴柜斜翻抽等设计,实现一站式完成全妆,解放卧室空间

建面约116m²样板房实拍 仅供参考
配备美妆灯与抽拉龙头的 “感官SPA”系统,则将洗漱升级为一场全方位的护理体验,于细节处兑现“悦己”承诺
· 情绪玄关:「集约化收纳」与「归家情绪角」
将玄关从单纯的换鞋处,升维为归家的“情绪缓冲地带”
通过可调节层板的 百变鞋柜与可容纳婴儿车、行李箱的 变形空间,实现物归其位的秩序美学

建面约116m²样板房实拍 仅供参考
融入洞洞板的 归家情绪角,则成为家庭记忆的策展墙,用个性化的小物完成从职场到家庭的场景切换
③ 区域智慧标杆:青浦唯一华为鸿蒙智家战略合作项目
在青浦的居住版图中,联发·时光新澍树立了一座真正的智慧灯塔——它是 青浦在售项目中,唯一与华为开展深入战略合作,并全面接入华为鸿蒙智家生态系统的社区

建面约116m²样板房实拍 仅供参考
这并非简单的设备采购,而是一次从底层架构到生活场景的深度融合,为青年家庭带来前所未有的 “科技自由”
项目以 华为全屋智能为基石,实现了从“单点智能”到“全域智慧”的跨越
项目重磅引入上海首个华为坤灵Wi-Fi 6智慧入户,实现全屋信号无死角高速覆盖,为业主打造畅快淋漓的极速网络体验
更搭载华为本地主机,数据在本地自主处理,无需上传云端,从根源上守护业主的家庭隐私安全
尤为值得一提的是,华为全屋PLC黑科技,信号通过电线传输,即使网络掉线,也可以通过手机,在户内进行设备操控,真正实现了断网不断联
· 无感通行,尊崇体验:标配的 华为智能门锁,不仅具备AI人脸与指纹识别,更行业领先地搭载了 掌静脉解锁技术
无论是指纹浅的孩子还是指纹磨损的长辈,挥手隔空即可安全解锁,让全家老小皆能享受无感通行的从容与尊严

建面约116m²样板房实拍 仅供参考
· 全域互联,一键掌控:通过家中的 华为智能中控屏或手机上的 智慧生活APP,业主可以轻松掌控全屋灯光、空调、窗帘,甚至预设“晨起”、“观影”、“会客”等多种场景模式
一句指令,或轻轻一点,家的氛围随心而变
· 生态无边,未来已来:系统深度融入 华为鸿蒙生态,可无缝接入超2800个品牌、7700款智能产品
这意味着,从 可控窗帘、小艺机器人,到未来的新兴智能设备,都能自由融入这个智慧家庭
更支持通过 手机 、甚至汽车进行一键远程互联,真正实现“人-车-家”智慧协同,让科技自由没有边界,真正实现科技智能生活!
④ 灵动定制:实现“交付即终点”的完整产品闭环
联发洞察到青年个性化需求与装修陷阱之间的矛盾,为项目引入了 “灵动定制”服务
整合理想家体系,提供从 场景包、收纳包到软装包的菜单式选择,让购房者在交付前就能以可控的成本、可靠的品质,提前锁定一个完全贴合自己审美的家,真正实现了 “交付即交家,收房即收官”,将居住效率贯彻到最后一个环节!

建面约116m²样板房实拍 仅供参考
联发·时光新澍用产品力证明,在总价可控的范围内,你在这里能买到 功能更满、面积更不浪费、装修标准更高的房子,也是功能与总价之间 最均衡、最好的选择!
双国家级规划加持,青浦新城未来发展极
在上海,一共有四个国家级规划,分别是:虹桥商务区、长三角一体化示范区、张江科学城以及临港新片区。
论规划能级、论发展前景,这四个片区在上海可谓是鲜有对手。
而能享受这四者其一的板块,就已经能成为已然是购房者趋之若鹜的置业热土!但在上海,有一个板块却纵享着2大国家级规划

那就是青浦新城
西接长三角一体化势能,串联江浙广袤发达腹地,东面衔接的是澎湃的大虹桥势能。
左右手都是国家级势能,加上自身的新城规划,论前景、论上限,青浦新城有不输任何板块的底气!
并且这样的大格局,将让未来的青浦新城会成为一个面向全国的节点性板块。

所以,政府在这里规划了1.2平方公里的新城未来样板区。
区域整体开发,拥有全新的城市界面、最先进的规划理念,对于整个大虹桥、长三角而言,这里就是未来的发展极!
联发·时光新澍以打造“上海CICD”为使命,与世界同频共振!
深度对标世界三大标杆区域——借鉴英国雷丁的“公园式创新极核”理念,融合美国硅谷Diridon站域的“创智枢纽”模式,呼应新加坡榜鹅数码区“产学研协同”的人才生态。
将

华为研发中心的产业引擎、城市交通脉络与醇熟生活配套、自然生态肌理融为一体,在此铸就一个属于长三角的公园式科创主场!
· 超级地段:项目一边是西岑华为科创中心,汇聚长三角一体化发展的时代浪潮,一边是虹桥商务区,代表大虹桥建设的蓬勃生机,万亿数字产业集群在这条科创产业带上交融汇聚。
当市场不确定性增加,购房者的决策逻辑会从“寻找价格洼地”转向“锁定价值高地”。
在很多购房者心中,高能级产业区带来的价值和潜力远超传统居住区!
高能级产业带来更高发展上限的同时,吸引了庞大的高净值人群,为区域发展带来新的活力和蓬勃动力!
从联发·时光新澍出发,3站华为、4站市西软件园、8站虹桥商务区,直接锁定三大高能级产业价值,未来发展空间可想而知!

· 超级站位:17号线/嘉青松金线(规划)/示范区线(在建)三轨环绕;淀山湖大道+沪青平公路,一座位于双国家级规划之间的美好蓝图跃然纸上,纵享规划利好。

轨交17号线,串联起了天空万科广场所在的徐盈路站、蟠龙天地所在的蟠龙路站、国家会展中心所在的诸光路站以及虹桥交通枢纽所在的虹桥火车站。
同时,17号线还能在虹桥无缝换乘2号线。
2号线沿途皆是市区高能级商办中心,淞虹路、中山公园、静安寺、南京西路、陆家嘴、张江……一路连缀。
联发·时光新澍与17号线淀山湖大道站直线距离约800米,是不折不扣的轨交盘,步行可达!
另外,项目周边还有在建的示范区线和规划中的嘉青松金线(远景线路;信息来源于上海市交通委员会)
示范区线往西可以直通青浦华为研发中心,未来还可以直达吴江和嘉善,往东连接虹桥。
嘉青松金线从南至北依次穿过了安亭、青浦新城以及松江新城,直达金山。
· 超级配套:联发·时光新澍纵享区域内更高端、更完善的优质配套!

先来看教育资源:
联发·时光新澍项目周边聚集了复旦附中青浦分校、平和青浦学校、兰生复旦等一众上海顶尖名校资源,形成了覆盖幼儿园、小学、初中、九年一贯制到高中的“全龄段优质教育体系”。
此外,项目北侧的九年一贯制学校正在筹建,或将落地区域内,为打造高水平、国际化基础教育注入全新活力(新房不承诺学区;新建学校校址以最终官宣为准)
再来看生态资源:
新城未来样板区作为环淀山湖水乡带与青松生态廊道的交汇区域,坐拥万亩林园、三分荡、淀浦河等自然空间,具备了全市罕见的生态条件!

而且,作为青浦新城绿环三大重要节点之一“悠然荡”的所在地,在约6.8 平方公里的规划范围内,蓝绿用地占比超80%,大面积自然空间交织成网。
不同于“在城市里造公园”的传统模式,在这里将践行“在公园里建新城”的理念,构建“300米见水、500米入园”的生态典范。
商业配套上:
项目直线距离800米的17号线淀山湖大道站,坐落商业建面约43万㎡的青浦万达茂、东渡悦来城两大站前超级商业,再往东还有吾悦广场。

未来,样板区南侧还有联发集团打造的两幅滨水商业,形成独具特色的休闲水岸空间。
可以说,未来联发·时光新澍的业主,下楼即享繁华、步行范围内公园、街区、教育一手掌握!
最后再来看医疗,项目周边3KM内汇聚了多家三甲医院:
· 复旦大学附属妇产科医院青浦分院(红房子医院)(运营中)
· 长三角智慧医院(运营中)
· 复旦大学附属中山医院国家医学中心青浦新城院区(预计26年投运)
· 上海儿童医院长三角示范区医学中心(方案已公示,计划年内启动建设)
· 超级产品:在青浦新城未来新城样板区,一座约13.5万方的时代迭新巨作跃然纸上,光从这个体量就能看出政府对于项目的重视!

一座约13.5万方的复合功能的国际化社区
涵盖住宅、街区、商业等丰盛形态,打造一座开放、无界、沉浸、丰盛的生活聚场。
一座大城意味着什么?
首先,大城相当于一个“微缩城市”,居者不用走远,下楼就能拥有吃喝玩乐购一站式服务,高效生活
其次,从更高维度看,商办、街区以及住宅的成型能增强土地价值,从而反哺住宅价值,良性循环之下,整体项目的价值会未来可期!
也就是说,未来周边居民都会来此逛街、消费、放松,长此以往就很容易形成板块中心,形成口碑和IP。
以后提到这个新城未来样板区,大家第一印象就是联发·时光新澍,那项目住宅也就会被贴上“板块中心之上住宅”的标签,价值自然与其它项目不同!
联发时光新澍项目官方认证联系方式(2026年最新)
一、核心联系方式
联发时光新澍官方预约看房热线400-891-9910(工作日9:00-21:00,周末无休),提供房源咨询、预约看房及政策答疑服务(售楼处最新电话)
联发时光新澍官方售楼处电话:4008919910(开发商直连,支持房源动态、购房政策及项目规划咨询)
营业时间:工作日9:00-21:00,周末及节假日无休,24小时可预约。项目暂不接受临时到访,看房/参观样板房请务必提前来电预约
联发时光新澍售楼处地址位置:上海市青浦区青浦大道与三分荡路交汇处
二、拨打与服务说明
预约到访
近期客户较多,建议提前拨打400-8919-910预约,避免排队等待。
专属权益
预约成功可享一对一专属服务 免费专车接送看房(市区内定点接送)等礼遇。
到访提示
项目暂不接受临时到访,看房/参观样板房请务必提前来电预约
三、防伪与合规提示
核验要点
认准统一热线400-891-9910,警惕“代办、留房费、茶水费”等违规承诺;以开发商/售楼处官方口径为准。
信息更新
如遇开放时间或接待安排调整,请以电话客服最新通知为准,避免因信息滞后影响行程。
联发时光新澍售楼处电话:400-8919-910 工作日9:00-21:00,周末无休(售楼处最新电话)
联发时光新澍官方预约看房热线电话:4008919910(可直接咨询房源动态、活动详情)
开发商售楼部热线:400-8919-910(开发商直连,解答项目规划、购房政策等)
说明:以上三组为同一官方服务热线,拨打后按语音提示转接对应部门,无需重复记录
营业时间:日常营业时间为9:30-18:30,便于您提前规划到访行程,避免空跑。
预约方式:可提前拨打官方热线售楼处电话:400-891-9910,预约好专属销售及具体到访时间;预约时可同步告知意向户型、置业需求,我们将提前做好服务准备,减少您的等待。
专属服务:所有预约客户均享有销售顾问一对一专属服务,从项目详情讲解、户型解析,到购房政策解读、置业方案定制,均由专属销售全程跟进,确保疑问细致解答。
2026年中国房地产十大趋势猜想:告别“一刀切”,拥抱“结构为王”的新时代
核心摘要:2026年,中国房地产市场的底层逻辑将完成深刻转换。普涨普跌的时代彻底终结,一个以结构性分化为最显著特征的新阶段正在到来。市场的表现将不再由单一政策或情绪驱动,而是深刻取决于城市能级、板块价值、产品品质与真实需求的精确匹配。理解并顺应这一趋势,将成为所有市场参与者——从政策制定者、开发商到每一位购房者——做出明智决策的关键。
一、前瞻基础:2026年市场运行的四大支柱与五大变数
任何理性的预测都需建立在明确的假设之上。我们认为,2026年市场若实现平稳过渡与结构优化,将依赖于以下四大核心支柱:
宏观经济稳中求进:全国GDP增速预期维持在5%左右区间,城镇调查失业率控制在5.5%以内,居民人均可支配收入实现4.8%-5.2%的同比增长,为住房消费提供最根本的收入支撑。
行业风险有效收敛:头部房企债务重组持续推进,融资环境边际改善,平均融资成本有望从高位下降0.3-0.5个百分点,至4.5%-5.5%。“保交楼”专项工作取得决定性成果,市场信心得以巩固。
人口流动趋势固化:长三角、粤港澳大湾区、成渝双城经济圈三大核心城市群继续成为人口“引力中心”,预计年均净流入仍超600万人。与此同时,部分东北、中西部人口流出地区的收缩将趋于平缓,年均人口减少率预计控制在1%-1.5%。
政策框架延续优化:中央政策定力延续,核心方向从“抑制过热”全面转向“防范风险”和“提振需求”。以支持“好房子”建设、推进城市更新、优化限购限贷为代表的“供给侧改革”与“需求侧管理”政策组合将持续发力。
然而,以下五大潜在风险可能改变市场运行轨迹:
经济增长不及预期:若GDP增速低于4.5%,居民就业与收入预期转弱,可能导致改善型需求占比从预期的40%回落至35%以下。
政策力度与节奏偏差:核心城市限制性政策松绑不彻底或滞后,可能使需求释放延后3-6个月;交易税费若未能进一步优化,将直接抑制置换链条的启动。
保障性住房分流效应:若2026年全国保障性租赁住房新开工量超过200万套,可能对市场化租赁房源造成冲击,导致租金回报率下降2-3个百分点,影响投资性购房的测算模型。
土地市场持续遇冷:核心城市优质涉宅用地流拍率若超过15%,将加剧未来新房供应短缺,可能引发二手房价格在特定区域的短期非理性波动。
长效机制试点加速:房地产税试点扩大或现房销售制度推进速度快于预期,可能在短期内对市场情绪形成扰动。
二、十大趋势猜想:洞察结构分化的具体图谱
猜想一:二手房交易量历史性超越新房,市场进入存量主导时代
核心依据:土地新增供应收缩是不可逆趋势。预测2026年全国新房销售面积约为7.1亿平方米(同比-4.1%),而二手房成交面积则有望达到8.0亿平方米(同比+3.9%),实现存量对增量的首次全面反超。“带押过户”全面推行极大提升了二手房的流通效率。
影响与对策:
对开发商:必须重新定位新房价值,避免与二手房在总价上直接“肉搏”。应聚焦于提供二手房无法比拟的前瞻性设计、尖端科技应用与高品质社区服务,例如打造健康宅、智慧社区。
对购房者:首次置业群体应更务实,将配套成熟、即买即住的市区二手次新房作为重要选择。改善群体则可利用“卖一买一”的置换链条,关注开发商提供的“换新一站式”服务。
猜想二:“好房子”从概念走向标配,品质溢价时代来临
核心依据:政策已明确将“好房子”作为行业新发展模式的核心。北京、广州、杭州等超20个城市已出台具体建设导则。同时,超过4000万户家庭居住在建成年代久远、设施老旧的房屋中,升级改善需求庞大且迫切。
影响与对策:
对行业:房地产的开发逻辑将从“高周转、标准化”转向“精细化、个性化”。绿色建筑(如国标三星级)、健康住宅(WELL标准)、智慧家居系统将成为高端项目的基础配置,并产生10%-15%的明确溢价。
对购房者:需建立“品质价值”评估体系,重点关注项目的得房率、层高、窗地比、隔音性能、绿色建材等硬性指标,以及物业服务的品牌与标准。
猜想三:限制性购房政策全面退出,需求在分化中释放
核心依据:2025年末北京优化五环内限购政策,释放了明确的政策风向标。在“因城施策”框架下,除个别超核心区域外,绝大多数城市的限购政策将在2026年完成其历史使命,退出舞台。
影响与对策:
市场表现:政策松绑将带来需求的一次性脉冲式释放,但此后市场将迅速回归基本面。核心城市核心区的改善型房源将率先回暖,呈现“量升价稳”;而缺乏人口和产业支撑的城市,松绑效应将很快衰减。
决策关键:购房者应警惕“松绑狂欢”后的市场冷静期,切勿盲目追高。决策应更坚定地基于家庭长期工作生活规划,而非短期政策刺激。
猜想四:房价底部区域确立,但“K型分化”无可避免
核心依据:从量价关系看,全国住宅市场供求已逐步走向新的平衡点。70个大中城市房价数据显示,整体跌势已显著收窄,部分城市环比止跌,市场底部特征日益清晰。
影响与对策:
分化维度:分化将在城市、板块、产品三个维度上剧烈展开。同一城市内,拥有顶级学区、产业或稀缺景观资源的板块,与普通郊区的价差将持续拉大。产品上,高品质改善户型与“老破小”的命运将截然不同。
置业逻辑:必须放弃“买房必赚”的旧思维,接受“部分资产上涨、部分资产阴跌”的新常态。资产配置应坚决向 “核心城市的优质板块中的好产品” 集中。
猜想五:改善型需求成为市场中流砥柱,催生“新改善”产品
核心依据:我国住房自有率已处于高位,市场驱动力正从“首次置业”转向“居住升级”。预测2026年改善型需求(含置换)占比将提升至40%,其中“卖一买一”的链条置换需求占主导。
影响与对策:
产品变革:开发商需深刻理解“新改善”需求:它不仅是面积增大,更是对家庭互动空间(LDK一体化)、居家办公空间、适老化设计、社区社交场域的全面升级。120-180平方米的“功能型改善”户型将成为主流。
服务升级:与房屋硬件相匹配的“软性服务”价值凸显。优质的物业服务、社区文化建设、乃至链接的教育医疗资源,都将成为项目的核心竞争力。
(以下为基于同样逻辑延展的补充猜想)
猜想六:租赁与购买“并重”格局深化,租赁房源品质大幅提升
核心依据:保障性租赁住房大规模入市与市场化长租公寓品牌化发展,共同推动租赁住房成为可靠的居住选择。租购同权在子女教育、公共服务等领域的推进,将改变“重购轻租”的观念。
影响:租赁市场本身将出现分化,品质好、服务优的房源租金将保持坚挺,并吸引更多追求灵活性与生活品质的年轻人。购房决策中,租金回报率将成为更重要的考量指标。
猜想七:房企格局重塑,专业化与轻资产模式迎来机遇
核心依据:高杠杆、高负债的扩张模式难以为继。拥有独特产品力、出色运营能力或成本控制能力的房企将幸存并壮大。
影响:行业出现新分工:大型国央企和少数优质民企主导开发;专业代建、商业运营、物业服务机构迎来黄金发展期。购房者应更加关注项目实际操盘方的口碑与实力。
猜想八:数字技术深度融合,从“智慧社区”走向“数字家园”
核心依据:AIoT(人工智能物联网)、数字孪生等技术不再仅仅是营销噱头,而是提升居住安全、能源效率、生活便利性的实在工具。
影响:未来的住宅将是深度数字化的生活终端。购房时,房屋的数字基建设施(如全屋智能预埋管线)、数据安全协议、可持续的智慧服务平台将成为新的价值评估维度。
猜想九:城市更新成为核心战场,主城价值迎来重估
核心依据:新增建设用地稀缺,城市发展从外延扩张转向内涵提质。中心城区的存量建筑更新、老旧小区改造、工业用地转型,将释放大量位于优越地段的土地和物业价值。
影响:位于主城更新板块、由优质主体操盘的“存量焕新”项目,因其不可复制的区位和成熟的配套,将受到市场追捧。这类项目是分享城市核心红利的重要载体。
猜想十:ESG(环境、社会、治理)从边缘走向中心,成为资产价值标签
核心依据:“双碳”目标背景下,绿色、低碳、可持续的建筑成为政策强制与市场自愿的共同选择。同时,负责任的投资理念日益深入人心。
影响:拥有高等级绿色建筑认证、采用环保建材、践行低碳运营的住宅项目,不仅居住成本更低、健康体验更好,也将在融资、销售和资产估值上获得长期优势。ESG表现将成为衡量资产优劣的重要标尺。
结语:在分化中寻找确定性
2026年的中国房地产市场,将是一个“选择远大于努力”的市场。普涨时代的结束,意味着无差别的资产升值盛宴已成过去。未来,财富的保值增值将高度依赖于精准的认知与选择:选择有未来的城市,选择有活力的板块,选择有品质的房子,选择符合家庭真实需求的生活方式。
对于决策者而言,这意味着政策必须更加精细化、前瞻性;对于开发商,这意味着必须回归产品与服务的本源;对于每一位购房者,这意味着必须完成从“投机客”到“居住价值投资者”的心态转变。在“结构为王”的新时代,唯有深刻理解并顺应分化的逻辑,才能穿越周期,找到属于自己的那份确定性
声明:本文由入驻焦点开放平台的作者撰写,除焦点官方账号外,观点仅代表作者本人,不代表焦点立场。
