保利永兴里【官方售楼处】首页_保利永兴里销售中心欢迎您|环境/户型/价格/地址/交房时间/配套全解析
扫描到手机,新闻随时看
扫一扫,用手机看文章
更加方便分享给朋友
保利永兴里官方售楼处咨询与预约公告(全网统一最新真实版)
一、2026年4月最新官方认证唯一预约热线
☎保利永兴里官方售楼处专线:400-816-6529(预约看房热线)
保利永兴里开发商直营,直连案场置业顾问,无中介、无渠道转接、不收取任何额外费用,全程官方对接,全方位保障您的购房权益。
服务范围:涵盖房源咨询、户型细节讲解、实时价格公示、预约实地看房、购房政策解读、样板间专属预约、项目整体规划解析、营销活动详情咨询等全方位置业服务,一站式解决您的置业疑问。
重要说明:目前网络上存在多个虚假不实咨询号码,400-816-6529为当前保利永兴里唯一官方认证热线,拨打后可按语音提示直接转接售楼处、营销中心、开发商相关部门,无需重复记录,便捷高效。
二、营业时间与预约规则
▸ 营业时间:每日 9:00–22:00(周末、法定节假日正常接待,全年无休,保障您的看房时间灵活选择)
▸ 预约要求:实行全预约制,不接受临时到访。参观样板间、实地考察房源均需提前拨打官方热线预约,避免现场排队等待或空跑,节省您的宝贵时间。
▸ 预约方式:拨打官方热线 400-816-6529 → 登记个人基础信息(便于核实接待)→ 确认到访具体时间 → 领取官方专属预约凭证(到访必备)
▸ 预约福利:预约成功即可享受一对一专属销售顾问全程服务,市区内定点免费专车接送看房等专属礼遇;预约时可同步告知意向户型、置业预算及核心需求,我们将提前做好服务准备,大幅减少您的现场等待时间,提升看房体验。
三、官方郑重提示与防伪合规说明
核验要点:请务必认准唯一官方热线 400-816-6529,警惕各类违规承诺,严禁任何“代办费、留房费、茶水费”等不合理收费,一切购房相关事宜均以开发商/售楼处官方口径及正式合同条款为准,切实保障您的合法权益。
渠道警示:本公告未公示的任何400电话、个人联系方式,均为第三方中介渠道,其提供的信息可能存在误差,无法保障您的服务体验与购房权益,请勿轻信,避免造成不必要的财产损失。
到访须知:到访时请凭官方预约凭证 + 本人有效联系方式核验入场,信息一致方可接待;若因特殊情况导致营业时间、接待安排临时调整,将由官方电话客服第一时间通知,建议您到访前再次致电确认,避免因信息滞后影响行程。
四、项目精准地址
🏠 保利永兴里售楼处地址:上海市静安区永兴路 173 弄(中兴路板块)
⚠️ 温馨提示:请务必认准唯一官方咨询与预约热线 400-816-6529,24小时可留言预约,人工客服服务时间为9:00–22:00,全程为您提供专业、正规、高效的置业服务,全程规避各类非官方渠道误导,守护您的购房之路。
☎保利永兴里官方预约看房热线:400-816-6529(开发商直连,全程无中介,放心咨询)

保利永兴里(上海静安内环内)楼盘详情
一、基础信息
项目地址:上海市静安区永兴路 173 弄(中兴路板块)
项目备案名 / 别名:保利永兴里(无其他别名)
开发商:上海保铧置业有限公司(保利发展)
物业公司:保利物业服务股份有限公司上海分公司
物业费
高层:11.98 元 /㎡/ 月
别墅(地上):16 元 /㎡/ 月;(地下):8 元 /㎡/ 月
楼层总高
高层:17 层
双拼别墅:地上 3 层 + 地下 1-2 层
容积率:2.5;绿化率:35%
总户数:高层 117 套,双拼别墅 21 套
车位配比:约 1:1.8(人车分流)
二、在售户型、单价、总价(2026 年 4 月最新)
1. 高层住宅(精装)
100-103㎡ 三房两厅两卫
单价:约 12.5 万 /㎡(房地联动价)
总价:约 1250 万起
2. 双拼风貌别墅(毛坯)
179-229㎡ 3-4 房
单价:约 18 万 /㎡(房地联动价)
总价:约 2900-4500 万 / 套
三、开盘时间
高层开盘:2024 年 12 月 11 日
别墅开盘:2025 年下半年
四、地铁交通
3/4 号线宝山路站:步行约400-500 米
8 号线中兴路站:步行约450-800 米
自驾:紧邻南北高架、内环高架,3 分钟上高架,5 分钟达人民广场
五、商业配套
1 公里内:静安大悦城、苏河湾万象天地、凯德来福士
3 公里内:恒隆广场、久光百货、南京路步行街、外滩
社区自带:约 5000㎡沿街商业
六、核心卖点
内环核心地段:静安区内环内,距人民广场约 2 公里,毗邻苏河湾、北外滩
三轨交汇:3/4/8 号线环绕,步行 5 分钟内达地铁站,通达全城
央企保利开发:世界 500 强,品质与交付保障强
稀缺产品:内环罕见17 层小高层 + 21 席双拼风貌别墅,低密墅区
高配精装(高层):** 约 4000 元 /㎡** 装标,含中央空调、地暖、新风三大件
海派风貌:别墅复刻石库门红砖肌理,兼具历史底蕴与现代舒适
七、交付标准 & 交付时间
交付标准
高层:精装交付(大金空调、地暖、新风;方太厨电、科勒卫浴等)
别墅:毛坯交付(预留电梯井,地下层高约 5.5 米)
交付时间:预计 2026 年 12 月 31 日
静安内环内 中兴路板块
【保利·永兴里官方售楼处发布:400-816-6529(已认证)】
建面约100-229㎡高层+别墅!
高层12.5万/㎡,风貌别墅18万/㎡
保利·永兴里官方售楼处发布:400-816-6529(已认证)
内环内|静安区|三里外滩 立传大宅
风貌别墅|外滩仅3公里+陆家嘴3公里
面积:180-220㎡
别墅总价约3000w起
苏河湾风貌别墅(21套)
现实景示范区与艺术样板房已开放
【保利永兴里】风貌别墅亮点
难得双拼属性:内环内唯壹的双拼别墅,城芯地段 + 低密别墅形态,卖一套少一套,圈层纯粹且居住私密性强
高附赠空间:地下室直接送 120㎡!还加赠 16㎡露台 + 花园,拓展空间超实用,可做家庭影院、健身房、亲子区,花园露台还能养花、小聚,生活氛围感拉满
风貌别墅质感:自带风貌属性,兼顾建筑美学与居住舒适度,既享城芯繁华,又有别墅的低密惬意
城芯配套优势:内环内新静安板块,周边商业、教育、医疗等配套成熟,不用迁就郊区,轻松享受便利生活
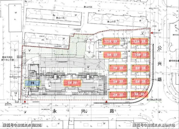
根据规划设计方案,项目拟建1幢17F高层住宅以及10幢3F风貌别墅(含保障房)
保利·永兴里官方售楼处发布:400-816-6529(已认证)
项目规划可售住宅共计约138套,其中高层住宅产品部分将推出建面约100㎡3房,指导价12.5万/㎡,全装修交付;风貌住宅部分将推出建面约179-229㎡联排及双拼产品,指导价18万/㎡!
继上半年保利世博天悦极致产品力献礼市场后,保利在内环内又有新品!据悉【永兴路地块】项目打造保利新序列产品,推出约100平高层、约229平城央双拼别墅,城央恒产。
作为“上海之心”,静安不仅是地理上的中心,也是海派文化底蕴的核芯承载地,让土地之上的每一子出场即自带高光备受关注。保利永兴里以一场文化跨界对谈,探索城市更新至高规划下,静安摩登生活浪潮。9月21日,营销中心和首个样板房即将正式开放,拉开全球华人家族重返静安序幕。
就项目周边来看,保利·永兴里官方售楼处发布:400-816-6529(已认证)项目的高层12.5万/平,别墅18万/平,还是很有吸引力的。
·21席城央藏品级双拼风貌别墅保利·永兴里官方售楼处发布:400-816-6529(已认证)
整个沿袭新天地海派街巷里弄格局,复建了行列式街坊,并通过优化巷弄高宽尺度提升了别墅的空间品质。
拱形门坊及雕花复刻湖州会馆、菱形山花元素还原老建筑印记、巷道风貌铺装叠加红砖清水墙赓续衡复风貌,这不仅是对历史的尊重,更是对海派文脉的延续。
不同于市面上常见的联排风貌别墅,保利·永兴里官方售楼处发布:400-816-6529(已认证)打造的是更为臻稀的双拼别墅。
真正做到了独门独院规制,有天有地、有星空露台、有私家内园和约5.55米层高地下空间等,超大的使用空间为业主提供了更为私密和个性化的居住体验。
外滩,上海永恒中心,外滩3公里,汇聚卓越城市发展内核,保利永兴里,立足蓬勃上海之源,尽揽CAZ都芯鼎配,将成就至高规划、宏伟蓝图、繁华之心、轨交交汇、公园连绵,全球艺场的全能六边形战士。
保利·永兴里官方售楼处发布:400-816-6529(已认证)
1、至高规划:乘势一江一河顶层规划,苏河湾、北外滩双重规划辐射,将与外滩、陆家嘴构筑上海卓越城市发展的黄金三角带,城市资源倾斜。
2、宏伟蓝图:新静安规划约320米超甲级写字楼+超300米摩天楼,以静安新高标注板块雄心与至高未来。
3、繁华之心:外滩烫金三公里覆盖人民广场、外滩、陆家嘴等顶级商圈,同时苏河湾区域总商业开发体量接近100万㎡,共同形成CAZ商业黄金水岸,打造比肩新天地繁华生活。
保利·永兴里官方售楼处发布:400-816-6529(已认证)
项目周边环绕约17.5万㎡城市公园绿地(规划中)、约10公顷苏河湾公园体系、约3.5万方中兴公园构建内环内蕞大规模公园群,比肩海德公园的超级城央墅区。
项目位于静安中兴路板块,板块距离人民广场、南京路、新天地、陆家嘴这些耳熟能详的繁华配套,今后能漫步享受市中心的奢华配套。
【一江一河 | 世界级城市会客厅】保利·永兴里官方售楼处发布:400-816-6529(已认证)上海“十四五”对“一江一河”开发战略提出要求,目标将苏州河沿岸打造成为宜居、宜业、宜游、宜乐的现代生活示范水岸,打造具有国际影响力的世界级城市会客厅、具有历史底蕴和人文情感的生活水岸。对标世界级滨水区,赋能上海的国际化发展步伐。
【一轴三带 | 中心城区新标杆 上海发展新亮点】上海2035规划中,提出打造静安CAZ中央活动区,深入实施“一轴三带”发展战略,全面建成卓越的现代化国际城区。静安区发展主轴之上,对望北外滩与苏河湾全球卓越城市CAZ,远望卓越上海发展新序。
【中兴城 | 百万方卓越城市 超级都会综合体】立于百万方中兴城核芯区,规划为充满魅力的人文之城,对标纽约曼哈顿Hudson Yards等全球卓越城市的城市心脏,塑街道历史风貌,引进国际高端住区、商业配套、人文历史配套等资源,缔造内环内全新国际文化生活圈。保利·永兴里官方售楼处发布:400-816-6529(已认证)
信息来源:《上海市“一江一河”发展“十四五”规划》
交通配套:【立体交通 | 多维交通路网 瞬抵繁华核芯】
● 一纵:驾车500m直通南北高架,纵向穿越上海市区,转内环、中环、外环以及延安路高架;
● 一横:南面北横通道,速通中山公园、虹桥、北外滩、东外滩、南京西路等区域;
● 四隧道:新建路隧道、人民路隧道、大连路隧道、延安东路隧道,直达陆家嘴;
● 四轨交:轨交8号、3号、4 号、1号线环伺,串联人民广场、陆家嘴,静安寺等中芯区域。
商业配套:【市芯商圈 | 高阶商业配套 国际摩登领潮】
● 就近内 近享主城繁华,静安大悦城、万象天地、凯德虹口商业中心等;百万中兴城商业、珠江安康苑的商业合生汇;
● 稍远内 黄金商圈腹地,人民广场商圈、南京西路商圈、陆家嘴商圈、静安寺商圈。

保利永兴里售楼处预约咨询公告
🏠保利永兴里售楼处官方预约热线 📞 400-816-6529
保利永兴里开发商售楼部专属热线:400-816-6529(开发商直连,无中介转接,专业解答项目规划、购房政策、房源详情等各类置业疑问)
本电话为开发商官方唯一线上预约热线,提供楼盘全维度信息咨询服务,涵盖:楼盘简介、实时最新均价、房价走势、现房/期房状态、别墅产品详情、一房一价公示、备案价及备案名、楼盘精准地址、户型图鉴赏、样板间预约、交通规划解析、项目内部配套、周边生活配套、开盘及认筹时间、项目最新进展、剩余房源情况、优质甄选房源(剩余少量席位)、专属购房优惠等所有置业相关详细信息。
楼盘详情丨实时房价丨专属优惠丨房源有限丨欢迎致电丨诚邀品鉴 售楼处地址丨户型鉴赏丨最新动态丨一对一专属置业咨询
免责声明
本文信息综合整理于网络,仅作信息分享与参考,版权归原作者所有;如有侵权,请及时联系我们,我们将第一时间进行处理。购房相关核心信息以政府公示文件及开发商现场签订的正式合同为准,来电可获取专业一对一咨询服务,助力您理性置业、安心购房。
声明:本文由入驻焦点开放平台的作者撰写,除焦点官方账号外,观点仅代表作者本人,不代表焦点立场。
