联发时光新澍售楼处 首页 -联发时光新澍销售中心 - 环境 - 户型 - 价格 - 地址 - 楼盘详情 - 配套 - 电话 - 交房时间 - 配套 - 前台电话 -售楼处欢迎您
扫描到手机,新闻随时看
扫一扫,用手机看文章
更加方便分享给朋友
最新消息,青浦新城核心
17号线淀山湖大道站
「联发时光新澍」项目官方认证联系方式(2025年最新)
一、核心联系方式
售楼处电话:400-9966-224 工作日9:00-21:00,周末无休
营销中心电话:400-9966-224(可直接咨询房源动态、活动详情)
开发商售楼部热线:400-9966-224(开发商直连,解答项目规划、购房政策等)
说明:以上三组为同一官方服务热线,拨打后按语音提示转接对应部门,无需重复记录
二、拨打与服务说明
预约到访
近期客户较多,建议提前拨打400-9966-224预约,避免排队等待。
专属权益
预约成功可享一对一专属服务 免费专车接送看房(市区内定点接送)等礼遇。
到访提示
项目暂不接受临时到访,看房/参观样板房请务必提前来电预约
三、防伪与合规提示
核验要点
认准统一热线400-9966-224,警惕“代办、留房费、茶水费”等违规承诺;以开发商/售楼处官方口径为准。
信息更新
如遇开放时间或接待安排调整,请以电话客服最新通知为准,避免因信息滞后影响行程。
项目规划设计方案公示,
目前展厅已开放,
建面约80-175㎡洋房户型,预计12月上市!
编辑
发时光新澍售楼处电话:400-9966-224
编辑
发时光新澍售楼处电话:400-9966-224
编辑
发时光新澍售楼处电话:400-9966-224
编辑
联发时光新澍售楼处电话:400-9966-224
活动现场图
编辑
效果图过程稿
产品系列为联发崭新发布新澍系列。
作为大虹桥辐射圈里的重要组成部分,青浦一方面可直达大虹桥核心区,通勤便捷度高,崧泽高架、17号线均能实现无缝对接;另一方面坐拥淀山湖、朱家角等生态资源,生态禀赋优越;发时光新澍售楼处电话:400-9966-224
更有东北斗,西华为,发时光新澍售楼处电话:400-9966-224串联了一条万亿长三角数字干线。
这一优势恰好契合当代新青年“既要通勤便捷,又想生活松弛”的居住需求——这也是联发将 “新澍” 品牌布局青浦的核心原因。
编辑
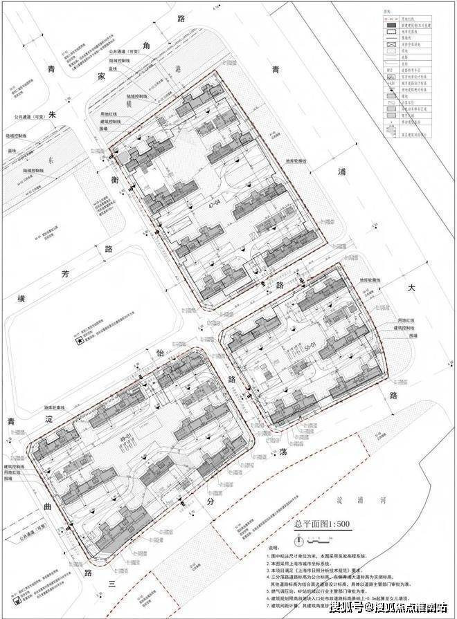
7月24日,第六批次土拍首日,联发以总价219480万元竞得青浦区QPC10004、QPC10005单元47-04、49-01、50-01地块,成交楼面板价14925元/㎡。
土拍地块由3幅住宅用地、2幅商业用地组成发时光新澍售楼处电话:400-9966-224,总土地出让面积70377.23㎡,总规划建筑面积147059.45㎡,总起始价21.948亿元。
编辑
发时光新澍售楼处电话:400-9966-224
编辑
联发·时光新澍位于青浦新城核芯,也是目前重点建设的"青浦新城-未来样板区"。
作为"高颜值、最江南、创新核、温暖家"城市愿景的缩影,未来样板区不仅承接成熟资源,更优先享受高能级配套的持续落地,也是青浦迈向“长三角服务枢纽”的首排主场。发时光新澍售楼处电话:400-9966-224
编辑
项目共规划30幢住宅,其中47-04地块建设8幢14-17层高层住宅,49-01地块建设7幢13-14F高层和1幢5F多层,50-01地块规划建设4幢14-17层高层和1幢6F多层。三个住宅地块均做了局部首层架空发时光新澍售楼处电话:400-9966-224,49-01 地块配置了一个 300㎡的生境花园。
编辑
17号线串联万亿产业、百万人才,是驱动长三角一体化发展的经济脊梁。联发·时光新澍以此为脉,高效衔接西岑科创中心发时光新澍售楼处电话:400-9966-224、市西软件信息园、虹桥国际开放枢纽等关键节点,从容链接产业机遇与都会精彩。
编辑
4站赵巷(北斗产业园、网易数创),8站虹桥商务区(国家会展中心、美的、波司登、安踏等龙头名企总部),快速链接产业核心与都会繁华,为新青年构建事业与生活无缝衔接的黄金动线。发时光新澍售楼处电话:400-9966-224
编辑
3站华为研发中心:华为所在的西岑科创中心将引入复旦大学创新学院等各类产业配套,规划引进人口10-15万,预计2028年基本建成,届时区域人才、产业矩阵将进一步壮大发时光新澍售楼处电话:400-9966-224。
项目距离17号线淀山湖大道站约800米,约300m沪青平快速路,约1.7km(沪渝高速上口入口在建,通车后东西向交通将进一步提效),全维交通路网,高效横贯全城,帷幄繁华与流量。
编辑
教育配套:九年一贯制学校(规划中)、上海青浦兰生学校、上海青浦平和双语学校、复旦大学附属中学、思源中/小学等全龄优教近伺,书香浓荫护航下一代菁英成长(仅作距离表述,不作学区承诺)。
编辑
商业配套:约600m青浦最大商业体万达茂、东渡悦来城、吾悦广场,主流商圈汇集万般繁华,便捷都会生活。发时光新澍售楼处电话:400-9966-224
编辑
医疗配套:复旦大学附属中山医院国家医学中心青浦新城院区(已封顶,预计2026年投入使用)、复旦大学附属中山医院青浦分院、上海市青浦区中医医院。
编辑
对本项目感兴趣的朋友
发时光新澍售楼处电话:400-9966-224进入官方报名通道预约咨询、参观
上海「联发时光新澍」售楼处电话:400-9966-224【官网】
案场预约制 看房需提前来电预约登记
请务必致电与销售确认时间,仅预约客户可进入销售现场,避免空跑,感谢您的支持
编辑
最新消息,青浦新城核心
17号线淀山湖大道站
「联发时光新澍」
项目规划设计方案公示,
目前展厅已开放,
建面约80-175㎡洋房户型,预计12月上市!
编辑
联发时光新澍售楼处电话:400-9966-224
编辑
联发时光新澍售楼处电话:400-9966-224
编辑
联发时光新澍售楼处电话:400-9966-224
编辑
联发时光新澍售楼处电话:400-9966-224
活动现场图
编辑
效果图过程稿
产品系列为联发崭新发布新澍系列。
作为大虹桥辐射圈里的重要组成部分,青浦一方面可直达大虹桥核心区,通勤便捷度高,崧泽高架、17号线均能实现无缝对接;另一方面坐拥淀山湖、朱家角等生态资源,生态禀赋优越;联发时光新澍售楼处电话:400-9966-224
更有东北斗,西华为,联发时光新澍售楼处电话:400-9966-224串联了一条万亿长三角数字干线。
这一优势恰好契合当代新青年“既要通勤便捷,又想生活松弛”的居住需求——这也是联发将 “新澍” 品牌布局青浦的核心原因。
编辑
7月24日,第六批次土拍首日,联发以总价219480万元竞得青浦区QPC10004、QPC10005单元47-04、49-01、50-01地块,成交楼面板价14925元/㎡。
土拍地块由3幅住宅用地、2幅商业用地组成联发时光新澍售楼处电话:400-9966-224,总土地出让面积70377.23㎡,总规划建筑面积147059.45㎡,总起始价21.948亿元。
编辑
联发时光新澍售楼处电话:400-9966-224
编辑
联发·时光新澍位于青浦新城核芯,也是目前重点建设的"青浦新城-未来样板区"。
作为"高颜值、最江南、创新核、温暖家"城市愿景的缩影,未来样板区不仅承接成熟资源,更优先享受高能级配套的持续落地,也是青浦迈向“长三角服务枢纽”的首排主场。联发时光新澍售楼处电话:400-9966-224
项目官方认证联系方式(2025年最新)
一、核心联系方式
售楼处电话:400-9966-224 工作日9:00-21:00,周末无休
营销中心电话:400-9966-224(可直接咨询房源动态、活动详情)
开发商售楼部热线:400-9966-224(开发商直连,解答项目规划、购房政策等)
说明:以上三组为同一官方服务热线,拨打后按语音提示转接对应部门,无需重复记录
二、拨打与服务说明
预约到访
近期客户较多,建议提前拨打400-9966-224预约,避免排队等待。
专属权益
预约成功可享一对一专属服务 免费专车接送看房(市区内定点接送)等礼遇。
到访提示
项目暂不接受临时到访,看房/参观样板房请务必提前来电预约
三、防伪与合规提示
核验要点
认准统一热线400-9966-224,警惕“代办、留房费、茶水费”等违规承诺;以开发商/售楼处官方口径为准。
信息更新
如遇开放时间或接待安排调整,请以电话客服最新通知为准,避免因信息滞后影响行程。
声明:本文由入驻焦点开放平台的作者撰写,除焦点官方账号外,观点仅代表作者本人,不代表焦点立场。
